조황관리HOME / 조황관리 / 상세정보

제목 : 어초 신발짝 열기, 우럭[일,월,화 모집]
등록일 : 2025-03-22
안녕하세요 읍천 테크호입니다.

길었던 주의보로 인해 며칠간의 휴항끝에
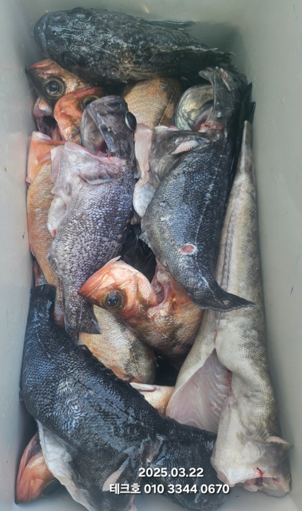
오늘(토) 열기, 우럭 출조했습니다.

봄철 우럭, 열기 올라오기 시작합니다.

특히 올라오는 열기들의 사이즈가
정말 장난 아니네요.

쉬었던 기간 동안 열기와 우럭이
어초에 들어와있는 것을 확인할 수 있었습니다.




내일(일) 열기, 우럭 오전 06시 30분 출항합니다
-자리많습니다.

월(24일) 열기,우럭 출항 모집중

화(25일) 열기, 우럭 출항 모집중

KakaoTalk_20250322_133924651.jpg


KakaoTalk_20250322_133924651_01.jpg


KakaoTalk_20250322_133924651_02.jpg


KakaoTalk_20250322_133924651_03.jpg


KakaoTalk_20250322_133924651_04.jpg


KakaoTalk_20250322_133924651_05.jpg


KakaoTalk_20250322_133924651_06.jpg


KakaoTalk_20250322_133924651_07.jpg


KakaoTalk_20250322_133924651_08.jpg

KakaoTalk_20250322_133924651_09.jpg


KakaoTalk_20250322_133924651_11.jpg


KakaoTalk_20250322_133924651_13.jpg
KakaoTalk_20250322_133924651_10.jpg


KakaoTalk_20250322_133924651_12.jpg



*** 경주 테크호 예약 안내 *** 


예약문의 : 

 - 010-6756-0309

 - 010-3344-0670
 

오시는길 : 경북 경주시 양남면 동해안로 592 (읍천낚시)
 

홈페이지 : https://tech.sunsang24.com/

밴드 https://
band.us/band/72249647

 

열기//우럭//볼락(테크호)


 

테크호 010 3344 0670 

농협 721110 52 083989 서병창 


*오전 6시 ~ 11시30분/12시

(상황에 따라 유동적 출조)


*선비7만원 


*일반릴 대여1만원.

 전동릴대여(인터라인대)2만원.


*미끼:오징어,(백색.적색)

          미꾸라지.청개비
 

*열기,우럭채비,추80호
 

*채비-미끼 읍천낚시점에 판매함

         

*방아쇠.밧데리 개인지참 


*크릴미끼, 커피, 생수, 장갑, 얼음 제공


*테크1호 앞 회센터에서 회 포장가능. 


선착장 

경주시 양남면 양남 항구길46  

(읍천 활어회센터 앞 )


KakaoTalk_20241114_123943311_06.jpg

 


모바일.jpg


스크린샷 2024-11-14 125949.png

 

Top