조황관리HOME / 조황관리 / 상세정보

제목 : 1/3(토) 테크1호 - 바다의 붉은꽃 왕열기, 왕쏨뱅이(일,월,화~모집)
등록일 : 2026-01-03
안녕하세요 읍천 테크호입니다.

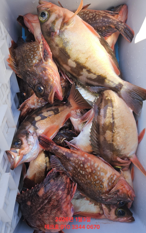
열기 본시즌에 접어들어
정말 씨알좋고 굵직한 왕열기가 올라옵니다.

 
내일부터 바람 죽고 기온 올라
낚시하기 좋은 날이 되겠네요.

겨울철 열기,우럭 피크 시즌
열기, 우럭 손맛, 입맛 보실분
연락주세요~

1/4(일) 열기, 우럭
오전 08시~13시 출항 - 자리많음

1/5(월) 열기, 우럭
오전 08시~13시 출항 - 자리많음

1/6(화) 열기, 우럭
오전 08시~13시 출항 - 자리많음

테크호 01033440670
        01067560309
 
*테크2호 - 대삼치& 방어 월,화,수~모집


KakaoTalk_20260103_152655966_13.jpg


KakaoTalk_20260103_152655966_09.jpg


KakaoTalk_20260103_152655966_10.jpg


KakaoTalk_20260103_152655966_11.jpg


KakaoTalk_20260103_152655966_12.jpg


KakaoTalk_20260103_152655966_08.jpg

KakaoTalk_20260103_152655966.jpg


KakaoTalk_20260103_152655966_01.jpg


KakaoTalk_20260103_152655966_02.jpg


KakaoTalk_20260103_152655966_03.jpg


KakaoTalk_20260103_152655966_04.jpg


KakaoTalk_20260103_152655966_05.jpg


KakaoTalk_20260103_152655966_06.jpg


KakaoTalk_20260103_152655966_07.jpg


KakaoTalk_20260103_152655966_14.jpg




*** 경주 테크호 예약 안내 *** 
 

 

예약문의 : 

 - 010-6756-0309

 - 010-3344-0670
 

오시는길 : 경북 경주시 양남면 동해안로 592 (읍천낚시)

계좌 : 수협 001067560309 서영민
 

홈페이지 : https://tech.sunsang24.com/

밴드 https://band.us/band/72249647

 


>>열기//우럭//볼락(테크1호)<<


농협 721110 52 083989 서병창

*오전 8시 ~ 13시
(상황에 따라 유동적 출조)

*선비7만원(크릴제공,)

*일반릴 대여1만원.

전동릴대여(인터라인대) 2만원

*미끼:오징어,(백색,적색), 미꾸라지,청개비

*열기,우럭채비,추80호

*채비-미끼 읍천낚시점에 판매함

*방아쇠.밧데리 개인지참

*크릴미끼, 커피, 생수, 장갑, 제공

*테크1호 앞 회센터에서 회 포장가능.

*선착장
경주시 양남면 양남 항구길46(읍천 활어회센터앞)

모바일.jpg


KakaoTalk_20250724_151405547.jpg

KakaoTalk_20250724_151234214.jpg



 

Top